| トップページ | 卵 | 羽化殻 | 卵寄生蜂 |
| 成虫 | 飼育・孵化・羽化 | 観察記録 | 採卵方法 |
| 雑記(トンボ) | 雑記(他昆虫孵化他) | 雑記(野草) | |
| ページ一覧表 | その他 | English version | リンク |
2011年の記録(トンボ成虫)
2002年の観察記録 2003年の観察記録1 2003年の観察記録2 2004年の観察記録 2005年の観察記録 2006年の観察記録 2007年の観察記録 2008年の観察記録 2009年の観察記録 2010年の観察記録 2011年の観察記録 2012年の観察記録 2013年の観察記録 2014年の記録 2015年の観察記録 2016年の観察記録 2017年の観察記録 2018年の観察記録 2019年の観察記録 2020年の観察記録 2021年の記録 2022年の記録 最新の記録
| 2011年10月29日 芦屋市総合公園でナツアカネを見ました。芦屋市ではアキアカネと同様、あまり見られなくなってきたアカトンボです。芦屋市南浜町親水中央公園の水路では多くのタイリクアカネの産卵を見ました。 | |
| ナツアカネ♂ 2011年10月29日撮影 芦屋市総合公園 | 水面上を飛ぶコノシメトンボ 2011年10月29日撮影 芦屋市南浜町親水中央公園 |
![]() |
![]() |
| タイリクアカネが産卵に来る水路 2011年10月29日撮影 芦屋市南浜町親水西公園 | タイリクアカネの産卵 2011年10月29日撮影 芦屋市南浜町親水中央公園 |
![]() |
![]() |
| 2011年10月19日 今日は久しぶりに近くの山地の芦屋市奥山石島池へ出かけました.あまり多くの種はいませんでしたが,ヒメアカネ,リスアカネ,オオアオイトトンボが多数いました.ルリボシヤンマの♀が産卵していました. | |
| 産卵中のルリボシヤンマ♀ 2011年10月19日撮影 芦屋市奥山石島池 | ヒメアカネ♂ 2011年10月19日撮影 芦屋市奥池南町イモリ谷 |
![]() |
![]() |
| オオアオイトトンボ♂ 2011年10月19日撮影 芦屋市奥山石島池 | リスアカネ 2011年10月19日撮影 芦屋市奥山石島池 |
![]() |
![]() |
| 2011年10月7日 公園の池や水路でタイリクアカネの産卵が多く見られるようになりました. |
| タイリクアカネの産卵 2011年10月7日撮影 芦屋市岩園町仲ノ池 |
![]() |
| 2011年10月6日 阪神間では見られる数が激減したアキアカネですが,今日は数個体みました.例年同様であれば秋遅くにはもう少し多くの個体が見られます. |
| アキアカネ 2011年10月6日撮影 芦屋市南浜町親水中央公園 |
![]() |
| 2011年10月4日 例年と同じように10月に入るとタイリクアカネの産卵が見られるようになりました. |
| タイリクアカネの産卵 2011年10月4日撮影 芦屋市南浜町親水西公園 |
![]() |
| 2011年9月28日 アカネ属のトンボが多く見られるようになってきました.近くの公園の水辺ではネキトンボ,マイコアカネ,リスアカネ,コノシメトンボ,マユタテアカネの産卵活動が見られます.タイリクアカネの産卵活動はまだ見られませんが,まもなく始まると思います. | |
| ネキトンボ♂ 2011年9月28日撮影 芦屋市潮見町西浜公園 | タイリクアカネ♂ 2011年9月28日撮影 芦屋市総合公園 |
![]() |
![]() |
| マイコアカネ 2011年9月28日撮影 芦屋市総合公園 | リスアカネ 2011年9月28日撮影 芦屋市総合公園 |
![]() |
![]() |
| 2011年9月25日 タイリクアカネが水辺に姿を見せ始めました.公園の池ではマイコアカネ,マユタテアカネ,リスアカネ,コノシメトンボ,ネキトンボなどのアカネ属が見られるようになりました. | |
| タイリクアカネ♂ 2011年9月25日撮影 芦屋市南浜町親水中央公園 | マイコアカネ♂ 2011年9月25日撮影 芦屋市総合公園 |
![]() |
![]() |
| 2011年9月8日 公園の水辺にアカネ属が姿を見せはじめました.今日,近くの公園の池で見たトンボはアジアイトトンボ,クロイトトンボ,マユタテアカネ,リスアカネ,ネキトンボ,ギンヤンマ,シオカラトンボ,ショウジョウトンボ,チョウトンボ,ウスバキトンボでした. |
| マユタテアカネ♂ 2011年9月8日撮影 芦屋市若葉町中央公園 ↓ |
![]() |
| リスアカネ♂ 2011年9月8日撮影 芦屋市若葉町中央公園 ↓ |
![]() |
| 2011年9月6日 台風が過ぎて気温がやや下がったようです.アカネ属の季節の始まりのようです. |
| コノシメトンボ♂ 2011年9月6日撮影 芦屋市親水西公園 |
![]() |
| 2011年8月17日 毎日暑い日が続いています.芦屋川では多数のハグロトンボが活動しています. | |
| ハグロトンボ♂ 2011年8月17日撮影 芦屋川本流開森橋付近 | オオシオカラトンボ♂ 2011年8月17日撮影 芦屋市霊園 |
![]() |
![]() |
| 2011年7月28日 近くの公園の池で今日見たトンボはショウジョウトンボ,ギンヤンマ,コシアキトンボ,アオモンイトトンボ,チョウトンボ,ウスバキトンボでした. |
| ショウジョウトンボ♂ 2011年7月28日撮影 芦屋市潮見町西浜公園 |
![]() |
| 2011年6月26日 近くの公園の池ではトンボが元気よく飛び回っています.今日見たトンボはチョウトンボ,コフキトンボ,ギンヤンマ,コシアキトンボ,ショウジョウトンボ,シオカラトンボ,アオモンイトトンボ,クロイトトンボでした. | |
| チョウトンボ♂ 2011年6月26日 芦屋市潮見町西浜公園 | コフキトンボ♂ 2011年6月26日 芦屋市潮見町西浜公園 |
![]() |
![]() |
| 2011年6月13日 近くの公園の池で羽化直後のタイリクアカネを見ました.その他コシアキトンボ,シオカラトンボ,ショウジョウトンボ,クロイトトンボを見ました. | |
| コシアキトンボ♂ 2011年6月13日 芦屋市潮見町西浜公園 | タイリクアカネ♀ 2011年6月13日 芦屋市潮見町西浜公園 |
![]() |
![]() |
| 2011年6月10日 芦屋市では数少ないコフキトンボですが,自宅近くのこの公園で数年前からコフキトンボが少数見られるようになりました. |
| コフキトンボ♀ 2011年6月10日 芦屋市潮見町西浜公園 |
![]() |
| 2011年6月8日 今日は芦屋市の奥池付近を散歩しました.西宮市ごろごろ岳北湿地のハッチョウトンボは羽化中や羽化直後の個体が多いようでした.その他今日見たトンボはアサヒナカワトンボ,オオヤマトンボ,クロイトトンボ,シオヤトンボでした. | |
| 羽化中のハッチョウトンボ♀ 2011年6月8日撮影 西宮市ごろごろ岳北湿地 | ハッチョウトンボ♂ 2011年6月8日撮影 西宮市ごろごろ岳北湿地 |
![]() |
![]() |
| ハッチョウトンボ♀ 2011年6月8日撮影 西宮市ごろごろ岳北湿地 | アサヒナカワトンボ♂ 2011年6月8日撮影 芦屋市奥池南町奥池付近 |
![]() |
![]() |
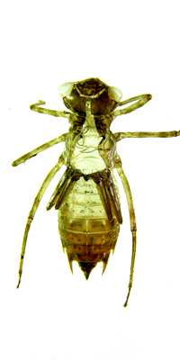
| 2011年5月18日 近くの公園の水路でタイリクアカネが羽化を始めたようです.昨日は水中を泳いでいる終齢幼虫を見ましたが,今日は羽化殻を5個見つけました. | ||
| 浅い水中のタイリクアカネ終齢幼虫 2011年5月17日撮影 兵庫県芦屋市南浜町親水中央公園 | タイリクアカネ羽化殻 2011年5月18日撮影 兵庫県芦屋市南浜町親水中央公園(右の図は羽化殻を持ち帰って撮影したもの) | |
![]() |
![]() |
![]() |
| 2011年5月16日 近くの公園の池で数種のトンボの産卵が見られるようになってきました.今日産卵を目撃した種はクロスジギンヤンマ,クロイトトンボ,ギンヤンマでした. |
| 産卵中のクロスジギンヤンマ♀ 2011年5月16日撮影 兵庫県芦屋市潮見町西浜公園 |
![]() |
| 産卵中のギンヤンマ 2011年5月16日撮影 兵庫県芦屋市南浜町親水中央公園 |
![]() |
| 2011年5月6日 近くの公園の池で数種のトンボ見られるようになってきました. | |
| アオモンイトトンボ 2011年5月6日撮影 兵庫県芦屋市総合公園 | シオカラトンボ♂ 2011年5月6日撮影 兵庫県芦屋市潮見町西浜公園 |
![]() |
![]() |
| 2011年4月18日 近くの公園の池でようやくトンボの姿を見ることができました. |
| オツネントンボ♂ 2011年4月18日撮影 兵庫県芦屋市潮見町西浜公園 |
![]() |